продаются участок с застройками на туристической базе в Горном Алтае
Россия, , Алтай Республика, Манжерок
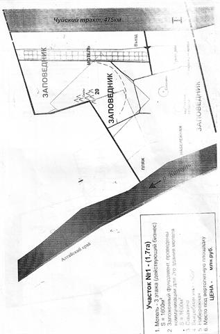
Цена: 55 250 000 ₽
Прибыль: не указана
Выручка: не указана
Основные средства: н/п
Материалы: н/п
Недвижимость: н/п
Год основания: не указан
Персонал: не указан
Описание бизнеса
Продается участок с застройками на туристической базе (1.7 Га) - Мотель - з этажа, S=1600 кв.м. (действующий бизнес); (благоустроенные 2-х этажные номера, ресторан, конференц - зал) - заложенный фундамент и проведены коммуникации для строительства второго здания мотеля S=1600кв.м.; - скважина; - выгребная яма - 50 кв.м.; - набережная; - место для вертолетной площадки. Действующий бизнес.
Продавец бизнеса
Елена


